伟徳1946管委会关于梁滩河综合整治(含谷老场镇片区)国有土地上房屋征收项目(三期)征收的公告
因梁滩河综合整治(含谷老场镇片区)工程项目建设的需要,伟徳1946管委会根据《国有土地上房屋征收与补偿条例》《重庆市国有土地上房屋征收与补偿条例》和《重庆市国有土地上房屋征收与补偿条例实施细则》的有关规定,于2024年12月11日决定对梁滩河综合整治(含谷老场镇片区)国有土地上房屋实施征收,征收范围内的国有土地使用权一并收回(详见附件1)。现将有关事项公告如下:
一、征收项目名称:梁滩河综合整治(含谷老场镇片区)国有土地上房屋征收项目(三期)。
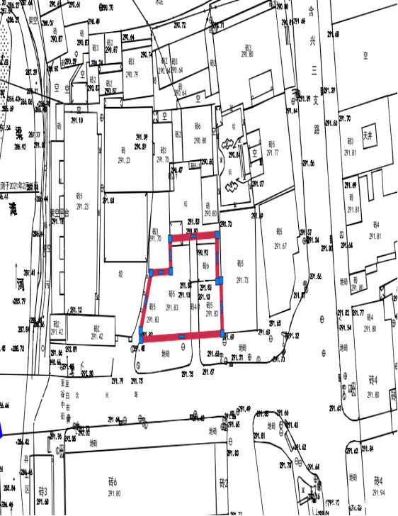
二、征收范围:详见附件2。
三、征收补偿方案:详见附件3。
四、签约期限:从2024年12月20日起至2025年1月18日止,共计30天。
五、房屋征收部门:伟徳1946管委会建设局。
六、房屋征收实施机构:伟徳1946土地利用事务中心。
七、现场办公地址:含谷镇社区征收办公室,办公电话:023-68609118,办公时间:9:00—11:30,14:00—17:30。
八、在房屋征收的同时,依法收回被征收房屋对应的国有土地使用权。
九、被征收人对征收决定不服的,可在征收决定公告之日起六十日内向重庆市人民政府申请行政复议,也可以在征收决定公告之日起六个月内向重庆市九龙坡区人民法院提起行政诉讼。
附件:1.伟徳1946管委会关于梁滩河综合整治(含谷老场镇片区)国有土地上房屋征收项目(三期)征收的决定
2.梁滩河综合整治(含谷老场镇片区)国有土地上房屋征收项目(三期)征收范围
3.梁滩河综合整治(含谷老场镇片区)国有土地上房屋征收项目(三期)征收补偿方案
伟徳1946管委会
2024年12月11日
伟徳1946管委会关于梁滩河综合整治(含谷老场镇片区)国有土地上房屋征收项目(三期)征收的决定
因梁滩河综合整治(含谷老场镇片区)工程项目建设的需要,根据《国有土地上房屋征收与补偿条例》《重庆市国有土地上房屋征收与补偿条例》和《重庆市国有土地上房屋征收与补偿条例实施细则》的规定,现决定对梁滩河综合整治(含谷老场镇片区)国有土地上房屋征收项目(三期)征收范围内:九龙坡区含谷镇含兴路53号3单元附5号、九龙坡区含谷镇含兴路53号附1号、九区含谷镇新街、九龙坡区含谷镇含兴路53号附3号、九龙坡区含谷镇含兴路53号附4号、九龙坡区含谷镇含兴路53号3单元及征收范围内认定为合法建筑的未登记建筑、其他附属物实施征收,征收范围内的国有土地使用权一并收回。
本房屋征收项目共涉及被征收人6户,房屋建筑面积440.55平方米。
伟徳1946管委会建设局会同有关部门和单位,负责房屋征收的组织实施工作,依法保障被征收人合法权益,维护社会稳定。
被征收人对本征收决定不服的,可在征收决定公告之日起六十日内向重庆市人民政府申请行政复议,也可以在征收决定公告之日起六个月内向重庆市九龙坡区人民法院提起行政诉讼。
伟徳1946管委会
2024年12月11日
附件2

附件3
梁滩河综合整治(含谷老场镇片区)国有土地上房屋征收项目(三期)征收补偿方案
为维护公共利益,保障被征收人的合法权益,根据《国有土地上房屋征收与补偿条例》《重庆市国有土地上房屋征收与补偿条例》等规定,结合该片区实际情况,特制定《梁滩河综合整治(含谷老场镇片区)国有土地上房屋征收项目(三期)征收补偿方案(征求意见稿)》如下:
一、拟征收范围、面积、户数及签约期限
(一)拟征收范围:九龙坡区含谷镇含兴路53号3单元附5号、九龙坡区含谷镇含兴路53号附1号、九区含谷镇新街、九龙坡区含谷镇含兴路53号附3号、九龙坡区含谷镇含兴路53号附4号、九龙坡区含谷镇含兴路53号3单元及征收范围内认定为合法建筑的未登记建筑、其他附属物,征收范围内的国有土地使用权一并收回。
(二)拟征收面积:有证房屋建筑面积440.55㎡,以及部分未登记建筑。
(三)拟征收户数:共6户。
(四)签约时间及期限:以伟徳1946管委会发布的房屋征收公告为准。
二、房屋征收部门、房屋征收实施机构和评估机构
(一)该项目房屋征收部门为伟徳1946管委会建设局,房屋征收实施机构为伟徳1946土地利用事务中心。
(二)该项目国有土地上房屋征收评估工作,由依照法定程序确定的重庆渝汇资产评估房地产土地估价有限公司承担。
三、征收补偿政策依据
(一)《国有土地上房屋征收与补偿条例》;
(二)《重庆市国有土地上房屋征收与补偿条例》;
(三)《重庆市国有土地上房屋征收与补偿条例实施细则》(渝府发〔2022〕26号);
(四)《重庆高新技术产业开发区国有土地上房屋征收与补偿实施办法》(渝高新发〔2022〕12号);
(五)国家相关法律法规和重庆市、伟徳1946相关配套伟德1949娱乐手机。
四、征收补偿原则
决策民主、程序正当、结果公开、公平合理、及时补偿的原则。
五、征收补偿对象
梁滩河综合整治(含谷老场镇片区)国有土地上房屋征收项目(三期)拟征收范围内持有房屋所有权证和国有土地使用权证(或房地产权证、不动产权证)的房屋所有权人。
六、征收补偿方式
被征收人可以选择货币补偿,也可以选择房屋产权调换。
(一)被征收人选择货币补偿,按被征收房屋补偿面积和评估价格计算货币补偿金额,由房屋征收实施机构按期支付,补偿终结。
(二)被征收人选择房屋产权调换,在本方案所列房源中选择用于产权调换的房屋,并按照房屋价值相等原则计算、结清被征收房屋价值与用于产权调换房屋价值的差价。
(三)被征收住宅的公摊系数低于或者等于15%的,按照15%的公摊系数计算应补偿面积,被征收住宅的公摊系数高于15%的,按实际面积计算应补偿面积。
用于产权调换的住宅公摊系数低于或者等于15%的,其对应的公摊面积费用由被征收人承担;用于产权调换住宅的公摊系数高于15%的,其超过部分对应的公摊面积费用由房屋征收实施机构依法承担,未超过部分对应的公摊面积费用由被征收人承担。
(四)产权调换房屋建筑面积小于或等于被征收房屋建筑面积的,其首次物业专项维修资金由房屋征收实施机构依法交纳;产权调换房屋建筑面积大于被征收房屋建筑面积的,与被征收房屋相等建筑面积部分的首次物业专项维修资金,由房屋征收实施机构依法交纳,超出面积部分由被征收人交纳。
产权调换后的房屋产权登记人应当为被征收人。若被征收人为自然人且死亡的,产权调换后的房屋产权登记人应当为被征收人的合法继承人或受赠人。
七、面积、用途等说明
被征收房屋的性质、用途和面积应以不动产权属证书和不动产登记簿的记载为准;不动产权属证书与不动产登记簿记载不一致的,除有证据证明不动产登记簿存在错误外,以不动产登记簿为准;不动产权属证书与不动产登记簿确无记载或者记载不明的,伟徳1946管委会组织相关部门进行认定。
八、预评估结果
|
序号 |
坐落 |
房屋用途 |
结构 |
土地使用权类型 |
建筑年代 |
预评估单价(元/㎡) |
|
1 |
九龙坡区含谷镇含兴路53号 |
住宅 |
混合/砖混 |
出让 |
1996年 |
7900 |
|
2 |
九龙坡区含谷镇含兴路53号 |
商服用房 |
混合/砖混 |
出让 |
1996年 |
23800 |
九、损失补偿和奖励补助标准
|
序号 |
补偿 科目 |
单项明细 |
补偿补助 奖励标准 |
说明及要求 | ||
|
1 |
价值补偿 |
被征收房屋价值 补偿 |
被征收房屋补偿面积的 评估价值 |
被征收房屋补偿面积包括被征收房屋产权证载建筑面积、按规定享受公摊系数补足部分的面积,以及按规定享受最低住房保障政策补足部分的面积。 | ||
|
2 |
损失补偿 |
非住宅停产停业补偿 |
被征收人选择货币补偿 |
按被征收房屋评估价值的6%一次性补偿 |
1.房屋征收项目公布前两年内有合法有效营业执照及完税凭证的非住宅,给予停产停业损失补偿。 2.被征收人选择的产权调换房屋为现房,给予6个月停产停业损失补偿;选择的产权调换房屋为期房的,以交付旧房时间起,至通知接房之日止计算过渡月数,并额外给予6个月停产停业损失补偿。房屋征收部门提供了临时周转房的,不支付停产停业损失补偿。 3.房屋征收部门未按约定日期交付产权调换房屋,导致过渡期限延长的,自逾期之月起每月按照房屋评估价值的5‰加付停产停业损失补偿。 4.用于生产制造的非住宅,停产停业损失的补偿标准可以适当提高,提高的幅度不超过补偿标准的50%。 5.住宅改为非住宅使用的房屋,符合《重庆高新技术产业开发区国有土地上房屋征收与补偿实施办法》规定的,可以给予停产停业损失补偿。 | |
|
被征收人选择产权调换 |
每月按被征收房屋评估价值的5‰补偿 | |||||
|
3 |
室内装饰装修损失补偿 |
住宅 |
1999年12月31日前(含12月31日)修建的被征收房屋按350元/平方米补偿 |
1.房屋修建时间以被征收房屋不动产登记簿记载的修建时间为准。 2.被征收人对补偿金额有异议的,可提出书面申请由房屋征收项目评估机构对其室内装饰装修进行评估。经评估后,被征收房屋装饰装修损失须按评估价值补偿。 | ||
|
2000年1月1日后(含1月1日)修建的被征收房屋按500元/平方米补偿 | ||||||
|
非住宅 |
商业、办公、业务用房参照住宅房屋标准执行,其他类型非住宅原则不予补偿 | |||||
|
4 |
附属设施补偿 |
民用 |
水表 |
600元/户 |
1.如有行业收费标准的,从其标准规定,否则执行本标准规定。 2.选择货币补偿方式的,按本标准规定给予补偿;选择产权调换方式的,不予补偿。 3.本条此处所指“户”以缴费户为单位。 | |
|
电表 |
600元/户 | |||||
|
天然气 |
3500元/户 | |||||
|
闭路 |
450元/户 | |||||
|
宽带 |
300元/户 | |||||
|
非民用 |
根据被征收人提供的安装合同、发票等据实补偿。 | |||||
|
5 |
非住宅设施设备搬迁补偿 |
搬迁后不丧失使用价值 |
按所搬迁设施设备折旧后评估净值的20%补偿 |
1.房屋征收项目和房屋征收范围公布后添置的设施设备不予补偿。 2.对设施设备进行评估的,企业等市场主体应当提供设施设备购置及品牌、编号等相关凭据。 3.设施设备由企业等市场主体自行拆除、搬离。 | ||
|
搬迁后丧失使用价值 |
按所搬迁设施设备折旧后评估净值补偿 | |||||
|
6 |
奖励补助 |
货币补偿奖励 |
住宅 |
按被征收房屋评估价值的12%奖励 |
1.选择货币补偿方式的,给予货币补偿奖励。 2.同一产权房屋中既有住宅又有非住宅的,分别根据评估价值计算货币补偿奖励。 | |
|
在房屋征收项目补偿方案规定的签约期内签约并按补偿协议(预签协议)约定期限搬迁的,按照被征收房屋评估单价给予被征收人5平方米的奖励 | ||||||
|
非住宅 |
按被征收房屋评估价值的5%奖励 | |||||
|
7 |
单户提前签约奖励 |
住宅 |
500元/户·日 |
1.提前天数自签约之日起计算,截至签约期限届满之日。 2.同一产权房屋中既有住宅又有非住宅的,分别计算提前签约奖励。 | ||
|
非住宅 |
20元/平方米·日 | |||||
|
8 |
住宅按期搬迁奖励 |
住宅 |
30000元/户 |
在房屋征收项目补偿方案规定的签约期内签约并按补偿协议(预签协议)约定期限搬迁的住宅被征收人,给予按期搬迁奖励。 | ||
|
9 |
奖励补助 |
搬迁补助 |
住宅 |
2000元/户·次 |
1.住宅房屋被征收人选择货币补偿方式的,给予1次搬迁补助;选择产权调换方式,且须按期搬离被征收房屋的,给予2次搬迁补助。 2.非住宅房屋给予1次搬迁补助。 3.同一产权房屋中既有住宅又有非住宅的,分别计算搬迁补助。 | |
|
非住宅 |
1.商业、办公、业务用房:每户30元/平方米·次 2.生产用房:每户40元/平方米·次 | |||||
|
10 |
临时安置补助 |
住宅 |
每户20元/平方米·月 |
1.住宅房屋被征收人选择产权调换方式,且房屋征收部门未提供临时周转房屋的,按照被征收房屋面积,给予临时安置补助。 2.选择的产权调换房屋为现房的,给予6个月临时安置补助。选择的产权调换房屋为期房的,以交付旧房时间起,至通知接房之日止计算临时安置月数,并额外给予6个月临时安置补助。 3.临时安置月数不足1个月按1个月计算。 | ||
除有特别说明外,补偿和奖励标准涉及的“户”指被征收房屋的产权户,以合法有效的房屋产权证书计算。
十、未登记建筑补偿补助标准
房屋征收项目范围内未登记建筑经调查和认定后,分类进行处理:
(一)认定为合法建筑的未登记建筑
经认定为合法建筑的未登记建筑,对未登记建筑当事人给予相应补偿。
1.参照房屋征收范围内同类有证建筑评估价格80%的标准给予货币补偿,但最高不得超过按同区位、同结构、同年代有证住宅房屋评估的价格。
2.临时建筑在批准期限内的,结合剩余使用期限,按照评估重置价结合成新给予货币补偿。
(二)认定为违法建筑的未登记建筑
经认定为违法建筑的未登记建筑,不予补偿。经认定为违法的未登记建筑当事人在房屋征收项目签约期内签约,并在规定时间内搬迁的,可以给予适当补助。
1.1990年4月1日—2007年12月31日(含12月31日)《中华人民共和国城乡规划法》(中华人民共和国主席令第74号)实施之前修建的未登记建筑,按评估重置价结合成新给予货币补助。
2.2007年12月31日—2014年10月16日(含10月16日)《重庆市查处违法建筑若干规定》(重庆市人民政府令第282号)实施之前修建的未登记建筑,按简易结构200元/㎡、砖木结构400元/㎡、砖混结构600元/㎡的标准给予残值补助。
3.2014年10月16日后修建的未登记建筑,不予补助。
4.临时建筑超过批准期限的,不予补助。
(三)其他规定
1.经认定为合法的未登记建筑不享受15%公摊补助政策,其他奖励、补助标准按照有证建筑进行处理。
2.经认定为合法的未登记建筑不享受45平方米最低住房保障政策,取得建设管理部门许可审批或国有企业分配手续的除外。
3.同一房屋征收项目范围内,同一未登记建筑当事人既有有证建筑,又有一处或者多处经认定为合法的未登记建筑,经认定为合法的未登记建筑的奖励、补助、最低住房保障面积不得分户处置。
4.具有合法土地使用权,且享受容积率小于1的空地补偿的,计算容积率时应当扣除经认定为合法的未登记建筑面积。
十一、产权调换房源地点、面积及价格等情况(详见附件)
十二、方案制定单位
本方案制定单位为伟徳1946管委会建设局,通讯地址:伟徳1946高新大道6号4号楼205室,联系电话:023-68609118。
十三、其他事项
本方案中未予明确规定的事项,按照国家相关法律法规和重庆市、伟徳1946国有土地上房屋征收相关伟德1949娱乐手机执行。
附件:梁滩河综合整治(含谷老场镇片区)国有土地上房屋征收项目(三期)产权调换房屋明细
伟徳1946管委会
2024年12月11日
附件
梁滩河综合整治(含谷老场镇片区)国有土地上房屋征收项目(三期)产权调换房屋明细
|
序号 |
产权调换房屋名称 |
房屋类型 |
房屋用途 |
产权调换房屋预评估单价(元/m²) |
栋号 |
套号 |
户型 |
建筑面积(㎡) |
套内面积(㎡) |
公摊面积(㎡) |
备注 |
|
1 |
裕安佳园 |
现房 |
住宅 |
7950 |
3栋 |
2号房(4、5、7层) |
两室 |
66.28 |
52.65 |
13.63 |
|
|
2 |
5号房(5、6、7层) |
两室 |
65.91 |
52.36 |
13.55 |
||||||
|
3 |
6号房(5、6、7层) |
两室 |
65.91 |
52.36 |
13.55 |
||||||
|
4 |
9号房(4、5、6、7层) |
两室 |
66.28 |
52.65 |
13.63 |
||||||
|
5 |
10号房(6、7层) |
两室 |
66.69 |
52.98 |
13.71 |
伟徳1946管委会关于梁滩河综合整治(含谷老场镇片区)国有土地上房屋征收项目(三期)补偿方案征求意见及修改情况说明
梁滩河综合整治(含谷老场镇片区)国有土地上房屋征收项目(三期)是经伟徳1946管委会同意实施的国有土地上房屋征收项目。根据《重庆市国有土地上房屋征收与补偿条例》《重庆市国有土地上房屋征收与补偿条例》等,2024年11月8日至2024年12月7日,伟徳1946管委会依法公示了《梁滩河综合整治(含谷老场镇片区)国有土地上房屋征收项目(三期)征收补偿方案(征求意见稿)》,各被征收人对《梁滩河综合整治(含谷老场镇片区)国有土地上房屋征收项目(三期)征收补偿方案(征求意见稿)》未提出意见,故正式方案未对征求意见稿内容进行修改。
伟徳1946管委会
2024年12月11日